Utcasoroló (32.): Bajcsy-Zs. u.
(Nyári ismétlés. Ez az írás 2014. június 18-án jelent meg először.)

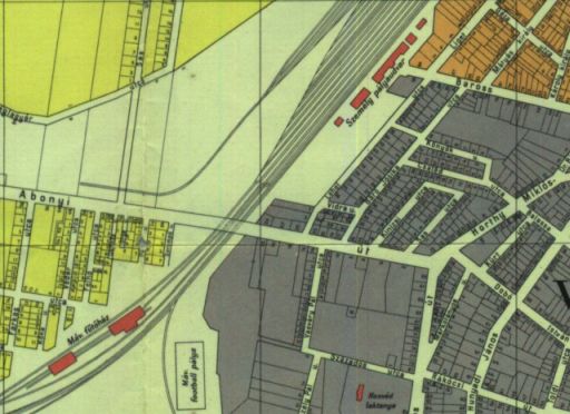
A Bajcsy-Zsilinszky Endre út – amit a legtöbben ma már csak Bajcsyként emlegetnek – a József Attila út kanyarulatánál, a lámpás kereszteződésnél indul, és valahol a Kolozsvári felüljárón, vagy alatta, vagy a vasúti sínek előtt ér véget. Számomra az egyik legnagyobb különlegessége, hogy ez a közterület lényegében három párhuzamosan futó útból áll, ami csak a legnagyobb városokban szokott előfordulni. Nálunk azonban az utca képét meghatározó vasúti felüljáró miatt alakult ez így, aminek következtében a párosról a páratlan oldalra átjutni komoly túra, avagy kalandos mutatvány.
Annak ellenére, hogy az utca nyomvonala szerintem több száz éves is lehet, a legrégebbi háza az egykori Vízügyi szakközépiskola, ma Hegedűs T. András iskola hatvan-hetven éves épülete. A többi ház szerintem mind a hetvenes évek második felében vagy később épült.
Kutatásokkal nem tudom bizonyítani, de azt gondolom, hogy az Abony és a főváros felé vezető közlekedési utat jó ideje használják már, környéke pedig a XIX. század második felében – a közeli honvéd laktanya átadása után – kezdhetett beépülni. Mint Cseh Géza sokszor citált könyvéből tudom, ezt a részt már 1874-ben is Abonyi sorként említik, 1926-ban pedig már Abonyi út a neve. Igaz, akkor még a Pletykafalu főutcájának számító, ma is ezt a nevet viselő közterület szerves része, házszámai szerint annak vége volt.
A közterületet, amit a vasúti sínek a XIX. század közepe óta kettészeltek, 1938-ban hivatalosan is két külön utcává nyilvánították. A síneken túli rész megtartotta eredeti nevét, míg a vasút és az akkor éppen Horthy Miklós utca közötti, város felé eső szakaszt Gömbös Gyuláról nevezték el. A névválasztás nem volt véletlen, hiszen a két évvel korábban elhunyt, 1932 és 1936 közötti miniszterelnök, 1920-tól az abádszalóki választókörzet országgyűlési képviselője volt, tehát emiatt is szoros szálak fűzték a megyéhez és a kormányzóhoz. Akivel már 1919-ben, Szegeden politikai kapcsolatba került, hiszen az ott megalakult ellenforradalmi kormányban államtitkári tisztséget vállalt. A Horthy-rendszer megszilárdításához pedig az 1921-es királypuccs meghiúsításával járult hozzá.
A Gömbös Gyula utca elnevezésekor még teljesen más képet mutatott, mint ma vagy akár 1940-ben. Páratlan oldalán, apró telkeken álló házak sorakoztak, amelyeket a mára eltűnt vagy ?elvándorolt? Sas, Kinizsi, Jósika és Lehel utcák választottak el egymástól. A páros oldalon pedig a Vasváry Pál utca torkollott bele. Gyökeres átalakulása 1939-ben indult, amikor elkezdődött a vasúti felüljáró építése, amit 1940-ben adtak át, és nevét részben Erdély visszatérésének tiszteletére, részben a főút irányát is jelölve, Kolozsvárról kapta. Amit a mai napig őriz.
Az utca azonban 1945-ben, az új rendszerrel másik nevet kapott. Azé a Bajcsy-Zsilinszky Endréét, aki egy fajvédő párt tagjából lett liberális ellenzéki politikus a két világháború között, majd 1939-ben a Független Kisgazdapárt tagja, és aki a második világháború idején folyamatosan szót emelt a német befolyás és a háború ellen, valamint a baloldali politikusok védelmében. Lényegében az ellenállás polgári szárnyának vezetőjét tisztelhetjük benne, akit a nyilasok az elsők között tartóztattak le, és hadbíróságuk ítélete alapján 1944. december 28-án, Sopronkőhidán kivégeztek.
Az 1945-ben átkeresztelt utca igazán a hetvenes években kezdett átalakulni. Ebben kisebb szerepet játszott a négyes út rekonstrukciója, illetve a Kolozsvári felüljáró 1973-ra befejeződött felújítása. Mert a markáns változást a távolabb lévő új vasútállomás építése, illetve környékének totális szanálása hozta. Ennek következtében ugyanis nemcsak egy-egy ház tűntetett el, hanem komplett utcák és lényegében egy kisebb városrész is. A folyamat – ha jól emlékszem – valamikor a hetvenes évek végén vagy a nyolcvanas évek elején fejeződött be, amikor a Jósika úti négyemeletesek és a felüljáró lábánál álló kilencemeletes is elkészült.
Az a hatalmas lakóház, ami Pest felől érkezve nekem mindig azt jelentette, hogy beértünk a városba.


